23°C

ΝΕΟΓΚΟΥΡΙ

Ιαπωνία: Τρεις νεκροί από τον τυφώνα Νεογκούρι

Ιαπωνία: Τρεις νεκροί από τον τυφώνα Νεογκούρι

ΚΟΣΜΟΣ · 10.07.2014 - 07:56
Σφοδρές βροχοπτώσεις πλήττουν σήμερα μεγάλο τμήμα της Ιαπωνίας προκαλώντας την υπερχείλιση ποταμών και μία κατολίσθηση την ώρα που ο εξασθενημένος αλλά ακόμη επικίνδυνος τυφώνας Νεογκούρι…
Απλά ένας Ιάπωνας που λούζεται στον τυφώνα! (video+photos)

Απλά ένας Ιάπωνας που λούζεται στον τυφώνα! (video+photos)

ΚΟΣΜΟΣ · 09.07.2014 - 23:15
Οι καταρρακτώδεις βροχές και βάναυσοι άνεμοι που πλήττουν την Ιαπωνία δεν απέτρεψαν αυτόν τον ατρόμητο μακρυμάλλη να περιποιηθεί την πλούσια κόμη του!
Ιαπωνία: Βιβλικές καταστροφές από τον τυφώνα Νεογκούρι (videos+photos)

Ιαπωνία: Βιβλικές καταστροφές από τον τυφώνα Νεογκούρι (videos+photos)

ΚΟΣΜΟΣ · 08.07.2014 - 22:25
Μία έκτακτη «ειδική προειδοποίηση» ακραίων καιρικών φαινομένων βρίσκεται σε ισχύ τη νύχτα της Τρίτης (8/7) προς Τετάρτη (τοπική ώρα) για τα νησιά στις νοτιότερες περιοχές…
Ιαπωνία: Πλησιάζει ο τυφώνας Νεογκούρι - Τεράστια προσοχή συνιστούν οι αρχές

Ιαπωνία: Πλησιάζει ο τυφώνας Νεογκούρι - Τεράστια προσοχή συνιστούν οι αρχές

ΚΟΣΜΟΣ · 08.07.2014 - 09:27
Οι αρχές της Ιαπωνίας συνέστησαν στους κατοίκους που διαβιούν στα νότια νησιά του ιαπωνικού χώρου να είναι στη μέγιστη εγρήγορση νωρίς την Τρίτη καθώς πλησιάζει…
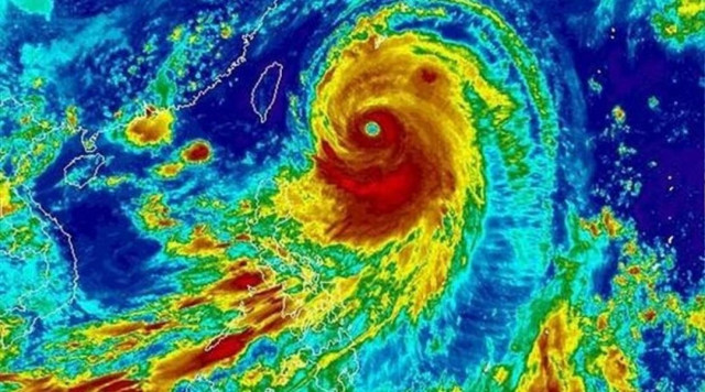
Ιαπωνία: Συναγερμός ενόψει καταστροφικού τυφώνα

Ιαπωνία: Συναγερμός ενόψει καταστροφικού τυφώνα

ΚΟΣΜΟΣ · 07.07.2014 - 20:25
«Ειδική προειδοποίηση» ακραίων καιρικών φαινομένων εξέδωσε η μετεωρολογική υπηρεσία της Ιαπωνίας, ενόψει της άφιξης του σφοδρότατου τυφώνα «Νεογκούρι» στις νοτιότερες περιοχές της χώρας, περιλαμβανομένης της…
©2012-2026 Newsbomb.gr - All rights reserved
Επωνυμία: GSTE ELECTRONIC PUBLICATIONS LIMITED, Διακριτικός τίτλος: GSTE ELECTRONIC PUBLICATIONS LIMITED, Έδρα Επιχείρησης: Σολωμού 70 & Βάκχου 30 Μεταμόρφωση, Νομική μορφή επιχείρησης: Ελληνικό Υποκατάστημα Αλλοδαπής Εταιρείας, ΑΦΜ – ΔΟΥ: 997434600 ΔΟΥ ΦΑΕ Αθηνών, Στοιχεία επικοινωνίας: Σολωμού 70 & Βάκχου 30 Μεταμόρφωση, 14451, 2106251412, info@newsbomb.gr, Ιδιοκτήτης: Γεωργία Νικολάου, Νόμιμη εκπρόσωπος / Διαχειρίστρια: Γεωργία Νικολάου, Διευθυντής: Γεράσιμος Πολλάτος, Διευθύντρια σύνταξης: Χρυσούλα Γρίβα, Δικαιούχος domain name: ZYRIANO LIMITED
Αριθμός Πιστοποίησης Μ.Η.Τ. 242188