15°C

ΤΖΑΜΑΙΚΑ

Με εγκεφαλική αιμορραγία η Μις Τζαμάικα - Δίνει μάχη για τη ζωή της - Η ανακοίνωση των καλλιστείων

Με εγκεφαλική αιμορραγία η Μις Τζαμάικα - Δίνει μάχη για τη ζωή της - Η ανακοίνωση των καλλιστείων

ΚΟΣΜΟΣ · 09.12.2025 - 08:12
Η τραυματισμένη Μις Τζαμάικα μεταφέρεται από την Ταϊλάνδη με πλήρη ιατρική συνοδεία για αποκατάσταση. Οι διοργανωτές του Miss Universe στηρίζουν πλήρως την οικογένεια.
Μις Υφήλιος: Στην εντατική η Μις Τζαμάικα μετά την πτώση της από τη σκηνή - Δεν τα πάει καλά

Άσχημα νέα για τη Μις Τζαμάικα μετά την οδυνηρή πτώση της στον διαγωνισμό Μις Υφήλιος - «Δεν τα πάει καλά»

LIFESTYLE · 23.11.2025 - 11:34
Παραμένει στην εντατική με τραύματα στα πόδια και στο πρόσωπο
Miss Universe: Η στιγμή που η Miss Τζαμάικα πέφτει από την πασαρέλα - Μεταφέρθηκε σε νοσοκομείο

Miss Universe: Η στιγμή που η Miss Τζαμάικα πέφτει από την πασαρέλα - Μεταφέρθηκε σε νοσοκομείο

ΚΟΣΜΟΣ · 20.11.2025 - 19:33
Η ανακοίνωση για την κατάσταση της υγείας της και τα σκάνδαλα που σκιάζουν τον διαγωνισμό
Τυφώνας Μελίσα: 40 τόνους ανθρωπιστικής βοήθειας παρέδωσε γαλλικό πολεμικό πλοίο στη Τζαμάικα

Τυφώνας Μελίσα: 40 τόνους ανθρωπιστικής βοήθειας παρέδωσε γαλλικό πολεμικό πλοίο στη Τζαμάικα

ΚΟΣΜΟΣ · 03.11.2025 - 23:03
Τουλάχιστον 28 άνθρωποι σκοτώθηκαν στη χώρα εξαιτίας ενός από τους ισχυρότερους τυφώνες που έχει καταγραφεί ποτέ
Τζαμάικα: 28 νεκροί από τον τυφώνα Μελίσσα – Φόβοι για μεγαλύτερο αριθμό θυμάτων

Τζαμάικα: 28 νεκροί από τον τυφώνα Μελίσσα – Φόβοι για μεγαλύτερο αριθμό θυμάτων

ΚΟΣΜΟΣ · 03.11.2025 - 00:42
Ο τυφώνας Μελίσσα σάρωσε την Καραϊβική αφήνοντας πίσω του δεκάδες νεκρούς και ανυπολόγιστες καταστροφές. Στην Τζαμάικα, όπου έφτασε ως τυφώνας κατηγορίας 5, τουλάχιστον 28 άνθρωποι…
Ποιοι είναι οι «κυνηγοί τυφώνων» που εισέβαλαν στην καρδιά της καταιγίδας Melissa

Ποιοι είναι οι «κυνηγοί τυφώνων» που εισέβαλαν στην καρδιά της καταιγίδας Melissa - Τα αεροσκάφη με ονόματα από το Μάπετ Σόου

ΚΟΣΜΟΣ · 01.11.2025 - 02:08
Το Lockheed WP-3D των κυνηγών τυφώνων εισέβαλε στην καρδιά της καταιγίδας Melissa
Ο τυφώνας «Μελίσσα» χτυπά την Κούβα μετά τις μεγάλες καταστροφές στην Τζαμάικα

Ο τυφώνας «Μελίσσα» χτυπά την Κούβα μετά τις μεγάλες καταστροφές στην Τζαμάικα

ΚΟΣΜΟΣ · 29.10.2025 - 18:20
Ο «Μελίσσα» χαρακτηρίζεται ως ο πιο ισχυρός τροπικός κυκλώνας που έπληξε την Τζαμάικα τους τελευταίους δύο αιώνες 
Τζαμάικα:Εικόνες Αποκάλυψης από τον τυφώνα «Μελίσσα» - Προειδοποίηση για... κροκόδειλους στις πόλεις

Τζαμάικα: Εικόνες Αποκάλυψης από τον τυφώνα «Μελίσσα» - Προειδοποίηση για... κροκόδειλους στις πόλεις

ΚΟΣΜΟΣ · 29.10.2025 - 16:04
Ο τυφώνας Μελίσσα, ο ισχυρότερος που έχει πλήξει ποτέ τη χώρα, χτύπησε με ανέμους που έφταναν τα 298 χλμ/ώρα – πιο δυνατούς ακόμη και από…
Τυφώνας «Μελίσσα»: Κατέρριψε το ρεκόρ ριπής ανέμου - Ταχύτητα άνω των 400 χιλιομέτρων την ώρα

Τυφώνας «Μελίσσα»: Κατέρριψε το ρεκόρ ριπής ανέμου - Ταχύτητα άνω των 400 χιλιομέτρων την ώρα

ΚΟΣΜΟΣ · 29.10.2025 - 10:43
Η αγριότητα της καταιγίδας έχει εισέλθει σε αχαρτογράφητα νερά, σαρώνει την Καραϊβική με αδιανόητη δύναμη
Τυφώνας Μελίσσα: Σάρωσε τη Τζαμάικα, έφθασε στην Κούβα - Τουλάχιστον 7 νεκροί και τεράστιες ζημιές

«Μελίσσα»: Μετά τη Τζαμάικα, έφθασε στην Κούβα ο «τυφώνας του αιώνα» - Τουλάχιστον 7 νεκροί και τεράστιες ζημιές

ΚΟΣΜΟΣ · 29.10.2025 - 09:25
H «Μελίσσα», ένας από τους ισχυρότερους τυφώνες στην ιστορία του Ατλαντικού άφησε το καταστροφικό της αποτύπωμα στη Τζαμάικα και έφθασε στην Κούβα,με ανέμους 195 χλμ/ώρα…
Οι πιο καταστροφικοί τυφώνες στην ιστορία: Από τη «Μελίσσα» στη μεγάλη καταστροφή του 1780

Οι πιο καταστροφικοί τυφώνες στην ιστορία: Από τη «Μελίσσα» στην «κόλαση» του 1780 - «Βλέπαμε μόνο λάσπη, συντρίμμια και πτώματα»

ΚΟΣΜΟΣ · 29.10.2025 - 08:29
Ο τυφώνας Μελίσσα έπληξε την Τζαμάικα με τις ισχυρότερες ριπές ανέμων που έχει βιώσει ποτέ η χώρα της Καραϊβικής. Ποιοι είναι όμως οι καταστροφικοί τυφώνες στην…
Τζαμάικα: Εικόνες «Αποκάλυψης» από το πέρασμα του τυφώνα «Μελίσσα»– Σε κατάσταση καταστροφής το νησί

Εικόνες «Αποκάλυψης» στην Τζαμάικα από το σαρωτικό πέρασμα του τυφώνα «Μελίσσα» – Σε κατάσταση καταστροφής το νησί

ΚΟΣΜΟΣ · 29.10.2025 - 05:32
Τουλάχιστον τρεις νεκροί και εκτεταμένες καταστροφές από το σαρωτικό πέρασμα του τυφώνα «Μελίσσα» . Χωρίς ρεύμα το μεγαλύτερο μέρος της Τζαμάικα.
Στο έλεος της «καταιγίδας του αιώνα» η Τζαμάικα: Εικόνες καταστροφής σε υποδομές, νοσοκομεία

Στο έλεος της «καταιγίδας του αιώνα» η Τζαμάικα: Κατέρρευσαν υποδομές, νοσοκομεία - Εικόνες καταστροφής -απόγνωσης και ο απρόβλεπτος κίνδυνος από τους κροκόδειλους

ΚΟΣΜΟΣ · 29.10.2025 - 00:13
Ο δεύτερος ισχυρότερος τυφώνας στην ιστορία του Ατλαντικού σαρώνει το νησί με ανέμους έως 300 χλμ/ώρα  - Σκηνές χάους: δέντρα να ξεριζώνονται, οχήματα να παρασύρονται…
Η «Μελίσσα» χτυπάει την Τζαμάικα - Αποκολλήθηκε στέγη νοσοκομείου - Προειδοποίηση για κροκόδειλους

Ο τυφώνας «Μελίσσα» χτυπάει την Τζαμάικα - Αποκολλήθηκε στέγη νοσοκομείου - Χωρίς ρεύμα το μισό νησί - Προειδοποίηση για κροκόδειλους

ΚΟΣΜΟΣ · 28.10.2025 - 22:09
Είναι η ισχυρότερη καταιγίδα που έχει πλήξει το νησί τα τελευταία 174 χρόνια
Ο τυφώνας «Μελίσσα», η «καταιγίδα του αιώνα» χτυπάει την Τζαμάικα με ριπές ανέμου 300 χλμ

Ο τυφώνας «Μελίσσα», η «καταιγίδα του αιώνα» χτυπάει την Τζαμάικα με ριπές ανέμου 300 χλμ

ΚΟΣΜΟΣ · 28.10.2025 - 19:23
Ο τυφώνας «Μελίσσα», κατηγορίας 5, είναι ένας από τους ισχυρότερους τυφώνες που έχουν καταγραφεί ποτέ στον Ατλαντικό
Τζαμάικα: «Είναι η τελευταία ευκαιρία να προστατεύσετε τη ζωή σας» από την «καταιγίδα του αιώνα»

Τζαμάικα - Δραματική προειδοποίηση: «Είναι η τελευταία ευκαιρία να προστατεύσετε τη ζωή σας» από την «καταιγίδα του αιώνα»

ΚΟΣΜΟΣ · 28.10.2025 - 16:56
Ο  τυφώνας «Μελίσσα» βρίσκεται περίπου 30 χιλιόμετρα από την Τζαμάικα
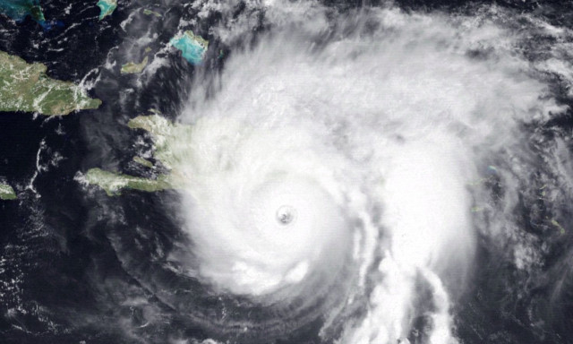
Τζαμάικα: Τρομακτικά πλάνα από το «μάτι» του τυφώνα «Μελίσσα» - Ο ισχυρότερος από το 1851

Τζαμάικα: Τρομακτικά πλάνα από το «μάτι» του τυφώνα «Μελίσσα» - Ο ισχυρότερος από το 1851

ΚΟΣΜΟΣ · 28.10.2025 - 14:37
Αεροσκάφος της Πολεμικής Αεροπορίας των ΗΠΑ εισήλθε στο «μάτι» του τυφώνα από τα νοτιοανατολικά, αμέσως μετά την ανατολή του ηλίου
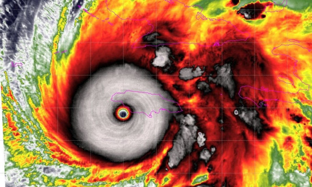
Εντυπωσιακό βίντεο: Δορυφόρος καταγράφει την ραγδαία ενίσχυση του τυφώνα «Μελίσσα» στην Τζαμάικα

Εντυπωσιακό βίντεο: Δορυφόρος καταγράφει την ραγδαία ενίσχυση του τυφώνα «Μελίσσα» στην Τζαμάικα

ΚΟΣΜΟΣ · 28.10.2025 - 10:57
Στο βίντεο καταγράφονται γιγάντια νέφη και έντονες ηλεκτρικές εκκενώσεις που μαρτυρούν τη ραγδαία αύξηση της ισχύος του
Τζαμάικα: Σε κατάσταση συναγερμού λόγω του τυφώνα «Μελίσσα» – Πληροφορίες για τρεις νεκρούς
Τυφώνας Melissa: Αναβαθμίστηκε σε καταιγίδα κατηγορίας 5 - Άνεμοι 260 χιλιομέτρων την ώρα

Τυφώνας Melissa: Αναβαθμίστηκε σε καταιγίδα κατηγορίας 5 - Άνεμοι 260 χιλιομέτρων την ώρα στη Τζαμάικα

ΚΟΣΜΟΣ · 27.10.2025 - 11:46
Ο ισχυρός τυφώνας Melissa αναβαθμίστηκε στην υψηλότερη βαθμίδα της κλίμακας Saffir-Simpson
Τζαμάικα: Ο ισχυρός τυφώνας Melissa πλησιάζει τη χώρα - «Ενισχύεται ραγδαία» λένε οι μετεωρολόγοι

Τζαμάικα: Ο τυφώνας Melissa κατηγορίας 4 πλησιάζει τη χώρα - «Ενισχύεται ραγδαία» προειδοποιούν οι μετεωρολόγοι

ΚΟΣΜΟΣ · 26.10.2025 - 21:18
Ο τυφώνας Melissa έχει ήδη χτυπήσει την Αϊτή και τη Δομινικανή Δημοκρατία, όπου άφησε τέσσερις άνθρωπους νεκρούς.
Τζαμάικα: Πρόταση γάμου πήγε τελείως λάθος όταν ο καταρράκτης παρέσυρε τον υποψήφιο γαμπρό

Τζαμάικα: Πρόταση γάμου πήγε τελείως λάθος όταν ο καταρράκτης παρέσυρε τον υποψήφιο γαμπρό

ΚΟΣΜΟΣ · 18.07.2025 - 21:12
Ο άνδρας είχε επιλέξει το γραφικό τοπίο του καταρράκτη ως το ιδανικό σημείο για να κάνει πρόταση γάμου στην αγαπημένη του
Μίλτος Τεντόγλου: Ο μεγάλος του αντίπαλος, Γουέιν Πίνοκ, γίνεται Τούρκος, αντί τεράστιας αμοιβής!

Μίλτος Τεντόγλου: Ο μεγάλος του αντίπαλος, Γουέιν Πίνοκ γίνεται Τούρκος – Οι γείτονες «ψωνίζουν» από Τζαμάικα ενόψει Ολυμπιακών Αγώνων 2028

ΑΘΛΗΜΑΤΑ · 22.06.2025 - 12:23
Ο σπουδαίος, Γουέιν Πίνοκ, ο οποίος αποτελεί και τον μεγάλο αντίπαλο του Μίλτου Τεντόγλου στο άλμα εις μήκος, ετοιμάζεται να γίνει Τούρκος, αντί τεράστιας αμοιβής…
Τζαμάικα: TikToker εκτελέστηκε εν ψυχρώ ενώ έκανε live μετάδοση

Τζαμάικα: TikToker εκτελέστηκε εν ψυχρώ ενώ έκανε live μετάδοση

ΚΟΣΜΟΣ · 02.05.2025 - 21:09
Σοκαριστική δολοφονία στη Τζαμάικα
Ολυμπιακός θρύλος του σπριντ κάνει σκόνη τους γονείς σε σχολική αθλητική γιορτή

Χαμένοι από την εκκίνηση: Ολυμπιακός θρύλος κάνει σκόνη τους γονείς σε αθλητική σχολική γιορτή

ΑΘΛΗΤΙΚΑ · 18.04.2025 - 18:50
Ο αγώνας ήταν καταδικασμένος από την αρχή...
©2012-2026 Newsbomb.gr - All rights reserved
Επωνυμία: GSTE ELECTRONIC PUBLICATIONS LIMITED, Διακριτικός τίτλος: GSTE ELECTRONIC PUBLICATIONS LIMITED, Έδρα Επιχείρησης: Σολωμού 70 & Βάκχου 30 Μεταμόρφωση, Νομική μορφή επιχείρησης: Ελληνικό Υποκατάστημα Αλλοδαπής Εταιρείας, ΑΦΜ – ΔΟΥ: 997434600 ΔΟΥ ΦΑΕ Αθηνών, Στοιχεία επικοινωνίας: Σολωμού 70 & Βάκχου 30 Μεταμόρφωση, 14451, 2106251412, info@newsbomb.gr, Ιδιοκτήτης: Γεωργία Νικολάου, Νόμιμη εκπρόσωπος / Διαχειρίστρια: Γεωργία Νικολάου, Διευθυντής: Γεράσιμος Πολλάτος, Διευθύντρια σύνταξης: Χρυσούλα Γρίβα, Δικαιούχος domain name: ZYRIANO LIMITED
Αριθμός Πιστοποίησης Μ.Η.Τ. 242188