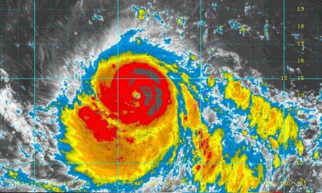
Στους 446 οι νεκροί από τον ισχυρό κυκλώνα Ιντάι στη Μοζαμβίκη

Απίστευτη τραγωδία στην αφρικανική χώρα.

Στους 446 οι νεκροί από τον ισχυρό κυκλώνα Ιντάι στη Μοζαμβίκη

Ο αριθμός των νεκρών από τον ισχυρό κυκλώνα Ιντάι που σάρωσε τη Μοζαμβίκη ανήλθε σε 446 από 417, σύμφωνα με νεότερο απολογισμό που ανακοίνωσε σήμερα ο υπουργός Περιβάλλοντος Σέλσο Κορέια, προσθέτοντας ότι 531.000 άνθρωποι επλήγησαν από την καταστροφή.

Ο κυκλώνας Ιντάι που σάρωσε την πόλη λιμάνι Μπέιρα της Μοζαμβίκης με άνεμους που έφθαναν τα 170 χιλιόμετρα την ώρα, κατευθύνθηκε στη συνέχεια προς τη Ζιμπάμπουε και το Μαλάουι, καταστρέφοντας κτίρια και θέτοντας σε κίνδυνο τη ζωή εκατομμυρίων ανθρώπων.

Πηγή: ΑΠΕ ΜΠΕ

Δείτε όλες τις τελευταίες Ειδήσεις από την Ελλάδα και τον Κόσμο, τη στιγμή που συμβαίνουν, στο Newsbomb.gr

Διαβάστε επίσης:

Απίστευτες εικόνες χλιδής στις φυλακές: Πάρτι, αλκοόλ και «χαρτοπόλεμος» χρημάτων σε κελιά - σουίτες

«Στράτα, στρατούλα...»: Η απαράδεκτη συμπεριφορά των αστυνομικών στην 90χρονη που πουλούσε παντόφλες

Κάτοικος στην Αργολίδα μετέτρεψε το σπίτι του σε ελληνική σημαία (pics)

Δημοτικές εκλογές 2019: Ποιος πασίγνωστος ποδοσφαιριστής κατεβαίνει υποψήφιος

Χαμός στο Πάντειο: Ο Ντάνος έδωσε διάλεξη - Δείτε τι συνέβη (pics&vids)

Ρωσία: Πέταξε κοριτσάκι από τον τρίτο όροφο επειδή πίστευε πως ήταν… το Γκόλουμ

Διαβάστε επίσης

Σχόλια
Ροή Ειδήσεων Δημοφιλή