Ιαπωνία: Δεκάδες τραυματίες από τον τυφώνα Βονγκφόνγκ (vid)
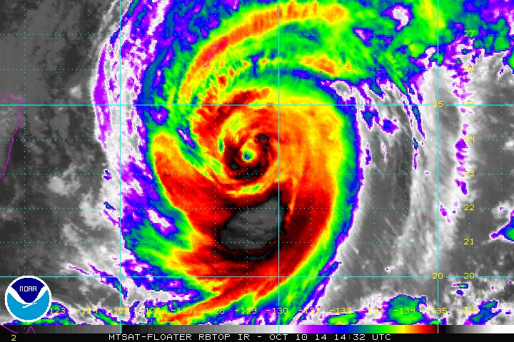
Τον τραυματισμό 25 ατόμων προκάλεσε ο ισχυρός τυφώνας Βονγκφόνγκ, ο οποίος κατευθύνεται προς τα νησιά της Ιαπωνίας, ενώ προβλέπεται ότι θα προσεγγίσει την ξηρά και το νησί Κιούσου τα ξημερώματα της Δευτέρας, σύμφωνα με ανακοίνωση της Εθνικής Μετεωρολογικής Υπηρεσίας της χώρας.
Ο τυφώνας έπληξε τα ξημερώματα της Κυριακής (12/10) το νησί Οκινάουα, με αποτέλεσμα να τραυματιστούν 25 άνθρωποι και να μείνουν χωρίς ηλεκτρικό ρεύμα, τουλάχιστον 25.000 κτίρια. Σημειώνεται ότι ο Βονγκφόνγκ είναι ο δεύτερος τυφώνας που πλήττει την Ιαπωνία μέσα διάστημα μίας εβδομάδας.
Την ίδια ώρα, περίπου 21.000 κάτοικοι στην Οκινάουα κλήθηκαν από τις Αρχές να εγκαταλείψουν τα σπίτια τους, καθώς η Μετεωρολογική Υπηρεσία προειδοποίησε για ισχυρές βροχοπτώσεις, πλημμύρες, κατολισθήσεις και μεγάλα κύματα.

Το επίκεντρο του τυφώνα βρισκόταν στις 10:00 (04:00 ώρας Ελλάδας) περίπου 220 χιλιόμετρα δυτικά του νησιού Αμάμι Οσίμα, ενώ κινείται βόρεια-βορειοδυτικά με ταχύτητα 20 χιλιομέτρων ανά ώρα. Ο τυφώνας πνέει με ισχυρούς ανέμους που φτάνουν τα 126 χιλιόμετρα την ώρα, ανακοίνωσαν οι αρχές.
Υπενθυμίζεται ότι πριν μία εβδομάδα περίπου, ο τυφώνας Φανφόν έπληξε την κεντρική Ιαπωνία, προκαλώντας εκτεταμένες ζημιές, ενώ εξαιτίας των ακραίων καιρικών φαινομένων 4 άνθρωποι έχασαν τη ζωή τους.
Ο τυφώνας Βονγκφόνγκ είναι ο 10ος τυφώνας της εποχής…
Διαβάστε ακόμα:
Κομπάνι: Ενισχύει τις θέσεις του το Ισλαμικό Κράτος (vids)
Χονγκ Κονγκ: Σε κόκκινη γραμμή «ακροβατούν» φοιτητές και κυβέρνηση
Έμπολα: Αισιόδοξα μηνύματα από την Ισπανίδα νοσοκόμα